geoengineering
climatesciencenews
carbondioxide
climatealarmism
weather terrorism
01/20/2023
/
By Ethan Huff
Climate cultists push bizarre scare language about weather: “rain bombs” and “boiling oceans”
The poster child of deranged climate lunacy gave a speech this week at the World Economic Forum (WEF) annual meeting in Davos, Switzerland, using all sorts of scary-sounding language to describe typical weather events. Al Gore, Bill Clinton’s former vice president, condemned “greenhouse gas pollution” for “boiling the oceans” and causing “rain bombs,” whatever those […]
01/04/2023
/
By Kevin Hughes
Playing God: Biden administration supports DANGEROUS PLAN to block sun’s rays that make photosynthesis possible
The Biden administration expressed support toward solar geoengineering, which involves proposals to block the sun’s rays before they hit Earth. It suggested financing and outlining five year research into the endeavor in a bid to address “climate change.” A report by the Guardian said the White House is mulling a proposal to send planes to […]
12/29/2022
/
By Ethan Huff
Comet Research Group analyzes Younger Dryas comet impact, says event dramatically altered the climate outside of humanity’s control
It remains an undeniable fact that the world’s climate is constantly changing. And the Comet Research Group makes a case for the worst cataclysmic changes from the past having absolutely nothing to do with human activity. The group put together a library of research about what its members called the Younger Dryas climate episode, which […]
12/13/2022
/
By Kevin Hughes
Arctic cold wave to bring “significant snow” to the UK
An Arctic cold wave is set to bring “significant snow” and temperatures as low as -10 C to the United Kingdom, according to the U.K.’s Meteorological Office. The Met Office’s warning stated that the cold wave from Norway, dubbed as the “Troll of Trondheim,” could see snow showers and ice across huge parts of the […]
11/01/2022
/
By Ethan Huff
Controlling the weather has been possible since at least 1916, evidence shows
As of late, it has suddenly become not-so-crazy to suggest that technology exists to manipulate the weather. In fact, the government is all but admitting, at this point, that geoengineering, aka chemtrails, is real and that it is being used to stop “global warming.” Well, what would you say if someone told you that such […]
10/19/2022
/
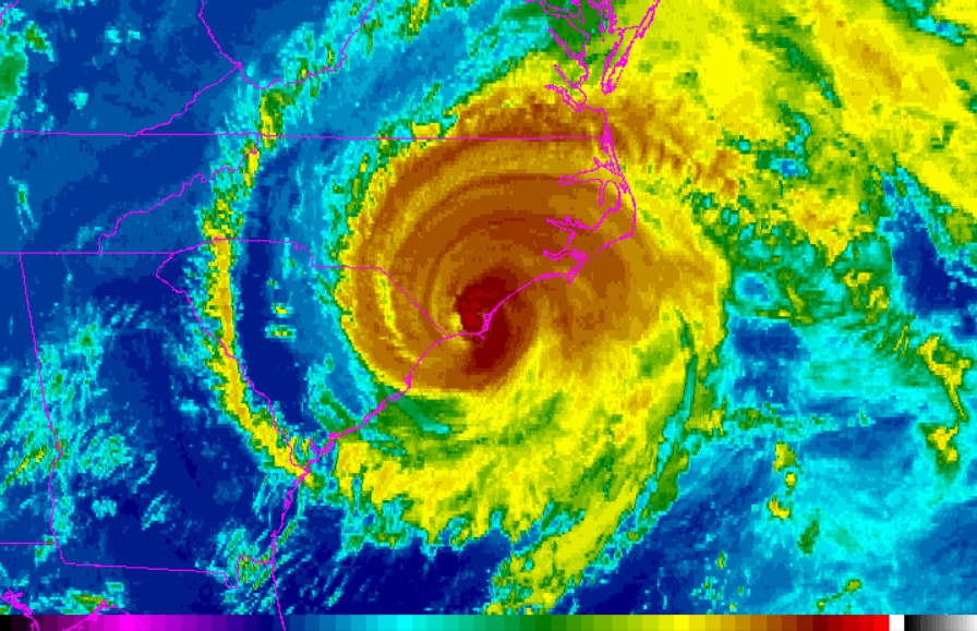
By Roy Green
Federal government may have “weaponized” Hurricane Ian to magnify climate change narrative
Manipulating weather conditions, including hurricanes, is nothing new. The U.S. government has been clandestinely doing it for more than 60 years, so it must have perfected the craft by now. Recent hurricanes like Noru and Ian have brought out the possibility of weather manipulation because of their erratic, unusual behavior. (Related: Hurricane Ian DEVASTATES Florida; full recovery […]
10/18/2022
/
By News Editors
Is the climate being engineered?
He who controls the weather controls the world.” These ominous words were spoken in 1962, at Southwest Texas State University, by then Vice President Lyndon B. Johnson. In that Cold War era speech, he was alluding to what could happen after the “development of a weather satellite that will permit man to determine the world cloud layer and […]
10/12/2022
/
By Ethan Huff
US government has ability to manipulate hurricanes, 50-year-old documentation shows
Believe it or not, evidence exists to suggest that the United States government – or at least those who have co-opted and now control it – has the ability to create and steer weather, including hurricanes. Educator and activist Peggy Hall uploaded a video – watch below – discussing what she was able to uncover […]
10/05/2022
/
By Ramon Tomey
Super typhoon Noru that hit the Philippines intensified in less than 6 hours: Weather manipulation at play?
Super Typhoon Noru, which recently battered the Philippines, was reportedly weaker six hours before it hit. This suggests possible weather manipulation. The Philippines sees an average of 20 tropical storms each year. While Noru did not inflict as much damage or loss of life compared to other storms such as Ketsana in 2009 and Haiyan in […]
10/05/2022
/
By Ethan Huff
Climate change-obsessed media giants ACTIVELY LIE about hurricanes in total contradiction to actual science
The devastating aftermath of Hurricane Ian in Florida is once again being exploited by the corporate-controlled media to falsely claim that man-made “climate change” is somehow responsible. The claim is that hurricanes are becoming increasingly more common and deadly because the planet is “warming,” which we are told is due to things like fossil fuel […]
« Return Home
1 of 2
Next Page »
Get Our Free Email Newsletter
Get independent news alerts on natural cures, food lab tests, cannabis medicine, science, robotics, drones, privacy and more.
Your privacy is protected.
Subscription confirmation required.
Popular Articles
Get Our Free Email Newsletter
Get independent news alerts on natural cures, food lab tests, cannabis medicine, science, robotics, drones, privacy and more.
Subscription confirmation required.
We respect your privacy
and do not share emails with anyone. You can easily unsubscribe at any time.
COPYRIGHT © 2017 CLIMATE SCIENCE NEWS
Privacy Policy
Get Our Free Email Newsletter
Get independent news alerts on natural cures, food lab tests, cannabis medicine, science, robotics, drones, privacy and more.
Subscription confirmation required.
We respect your privacy
and do not share emails with anyone. You can easily unsubscribe at any time.
Close
x
By continuing to browse our site you agree to our use of cookies and our
Privacy Policy
.
Agree and close